Что делать, если рассада томатов вянет и падает
Нарушенные правила агротехнических работ могут стать причиной вялости и проблематичного роста посадочных ростков. При исполнении должного ухода по всем правилам можно получить здоровые и крепкие сеянцы, которые в дальнейшем станут самыми лучшими плодоносящими кустами. Почему рассада помидор может падать, засыхать и вянуть. Любое отклонение от нормы выращивания приводит и к отклонениям в росте и развитии томатных кустов.
Содержание
- 1 Почему рассада помидор вянет и падает в домашних условиях, основные причины
- 2 Почему гибнет рассада помидор после всходов
- 3 Почему падает рассада помидор после пикировки
- 4 Почему рассада помидор гибнет от корня
- 5 Как помочь рассаде томатов, способы решения проблемы
- 6 Профилактика опадания и увядания томатов
- 7 Видео: почему рассада томатов вянет и падает?
Почему рассада помидор вянет и падает в домашних условиях, основные причины
Помидоры – не требовательное растение. Столкнуться с трудностями в процессе их выращивания трудно. Соблюдение рекомендаций по уходу за помидорной рассадой имеет свои тонкости, нарушать которые не стоит. Если не соблюдаются самые элементарные агротехнические правила, то можно не рассчитывать на здоровые саженцы. Нередко допускаются подобные ошибки:
Неправильный уход
Неправильный уход можно разделить на несколько пунктов, каждый из которых играет важную роль. При должном обращении даже самые капризные культурные растения хорошо плодоносят. Благо помидоры не из таких и ухаживать за ними немного легче.
Выбор некачественной почвы
Почва – это основа. К ее выбору важно подходить со всей строгостью. Существует множество болезней, которые передаются растениям из некачественной, зараженной земли. Для предотвращения негативных последствий важно обращать внимание на показатель кислотности, он должен быть нейтральным или близким к среднему значению. Если почва будут недостаточно или чересчур кислой, то у растения начнут загибаться листочки, ослабляться стебель, а потом оно завянет.
Важно! Недостаток или переизбыток питательных веществ в почве может негативно сказаться на дальнейшем развитии растения.
По консистенции лучше выбирать рыхлую (с вермикулитом или песком в небольшом количестве). Так воздух и влага будут без проблем проникать в нее. Земля, сбивающаяся в плотный комок, не подойдет для молодых саженцев, их корешки с ней не справятся. Если покупается пакетированная, должен быть значок дезинсекции (присутствие в земле посторонних образований недопустимо, выбирается только чистая почва). Хорошей добавкой в ней выступит торф.
Несоответствующий микроклимат
В большинстве случаев до высадки рассада растет на подоконнике. Температура там, в течение дня меняется. Может быть очень жарко от прямых лучей солнца или холодно от потоков ветра из щелей оконной рамы. Так же сложно уследить за влажностью, ее показатели часто меняются. Все это негативно сказывается на рассаде. В конечном счете, несоответствующий микроклимат приводит к падению и увяданию растения.

Плотная посадка и игнорирование пикировки
После того, как рассада немного подрастет в общей посуде, ее необходимо пикировать, то есть пересадить каждый росточек в отдельную емкость. Процедура проводится после появления 2-4 листочков. Поздняя пикировка чревата повреждением корней и ослаблению молодого саженца. Корни у томатов разрастаются быстро и если совсем проигнорировать пикировку, можно потерять всю заготовленные саженцы, они упадут и завянут из-за недостатка питательных веществ.
Неверный режим орошения
Если взрослый куст томата очень любит увлажнение, то молодой его опасается. Чрезмерный полив провоцирует гниение корешков. Вследствие этого рассада вянет и падает. Стабильного режима полива нет, важно смотреть на состояние почвы. Она должна быть сухой, но не потрескавшейся. Для удержания в почве влаги используется Вермикулит или Перлит.
Обратите внимание! Молодую рассаду поливают только специально отстоявшейся теплой водой.

В результате заболеваний
Навредить комнатной рассаде могут возбудители грибковой или бактериальной болезни. Подхватываются они из не продезинфицированной почвы. Самые часто встречающиеся это:
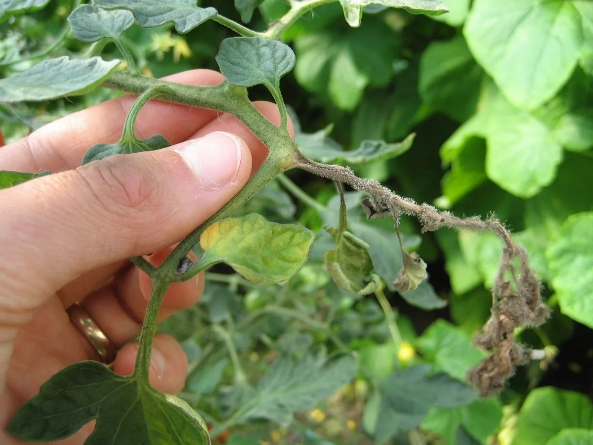
- Гнилые заболевания. Переизбыток влаги приводит к тому, что корешки молодой рассады загнивают. Заметить это можно по пожелтевшим листочкам, они вянут и падают. Вылечить растение не получится, из-за начала необратимых процессов. Единственное решение – удалить пораженное растение вместе с корневищем помидор. Остальные незамедлительно пересаживаются в другую почву и емкость. Для профилактики земля не переувлажняется и соблюдается постоянная температура.
Серая гниль на рассаде томата. - Фузариозная болезнь. Ее причина – плохая дезинфекция или полное отсутствие первоначальной обработки почвы. Происхождение грибковое, поэтому заметить, что рассада болеет не сложно. На ножке появляются характерные образования, а концы сосудов темнеют. Вылечить помидоры можно только на начальном этапе. Поможет в этом раствор Фундазола (10-12гр препарата на 10-12л воды). Для лучшего эффекта проводится обработка земли раствором марганца.
Фузариозное заболевание томатов. - Вирус табачной мозаики. Поражает листовую пластину, она начинает завиваться и увядать. Верхушка помидор постепенно склоняется к земле, рассада умирает.
Поражение растения табачной мозаикой. - Черная ножка. Вызвана грибковой инфекцией, развитие провоцирует застой влаги. Корневище начинает гнить, растение опускается и гибнет. Первая симптоматика проявляется в почернении стебля. Вылечить практически нельзя, профилактики от нее нет. Если замечена начальная стадия с легкой сменой цвета, то рассада пересаживается в другую емкость с чистой обработанной землей. Корневище обрызгивается раствором из толченого угля или золы.
Рассада томатов – заболевание черная ножка.
Обратите внимание! Переизбыток влаги на ранних стадиях вызывает множество болезней, которые вылечить невозможно.
Почему гибнет рассада помидор после всходов
Бывает так что ростки только взошли, но не прожили и 3-6 дней. Начали загибаться и в конечном итоге погибли. Причин у этого может быть несколько, и они схожи с уже перечисленными.
Не всегда покупка семян известного бренда является гарантией здоровых кустов томатов. Редко, но все же случается так, что при фасовке допускаются ошибки и во всю пачку заносится вирус или инфекция, впоследствии это убивает растение, не давая ему прожить и неделю. Для предотвращения скоропостижного увядания перед посадкой обрабатывается земля и сами семена. Производят это при помощи Фитоспорина-М (1-1,5 грамм на 100-150 миллилитров вод в течение 1,5-2 часов) или Хлоргексидина на 30 минут.

Томаты любят тепло, а не жару. Важно следить за температурой и окружающими условиями. Чрезмерное попадание прямых солнечных лучей может сжечь только всходящую рассаду. Для предотвращения емкость накрывается тканью, которая пропускает воздух. Это урегулирует температуру и плюсом предотвратит попадание сквозняков. Если не защищать семена от перепадов температуры, то они погибнут до высадки в теплицу.
Про умеренное количество увлажнения важно помнить на всех этапах. Маленькие росточки поливаются по мере высыхания грунта. Частое орошение вредит, так же как и недостаточное. Для безопасной поливки можно использовать пульверизатор, он увлажнит почву и не навредит корешкам.
Важно! Перед применением для полива каких-либо емкостей их необходимо тщательно промыть, иначе можно занести инфекцию в еще неокрепшее корневище.
Почему падает рассада помидор после пикировки
Часто неаккуратная пикировка заканчивается гибелью нескольких ростков рассады. Они начинают увядать и падают верхушкой на землю. Причин у такого поведения всего две: смена состава почвы, в которую осуществлялась пересадка или механическое повреждение.
Примечание! Не все сорта справляются с резкой сменой состава почвы. Для предотвращения потери большого числа рассады, лучше использовать в пикировании одну и ту же почву.
Помимо этого встречается ряд других причин. У пикирования есть свой порядок действий, который необходимо соблюдать. Пропуск хотя бы одного может быть чреват негативными последствиями.
- Полив. Перед пикировкой все растения поливаются. Если этого не сделать, будет большая вероятность повреждения корешков при изъятии рассады из земли. Восстановится у них не всегда получается, отсюда и увядание.
- Изъятие. Важно аккуратно доставать из земли рассаду. Лучше по одной и немного разгребая пальцами.
- Хват. Опытные садоводы не раз подмечали, что если растение брать за ствол, а не за листики, то оно потом ведет себя странно и может падать. Если процедура выполняется без перчаток, повышается риск занести в стебель инфекцию.
- Посадка. Молодые корни очень чувствительны к любым изменениям их положения. Обязательно слежение за тем, как они располагаются в земле. При неосторожном повороте, корень теряет проводящую функцию, растение не может получить из почвы достаточно полезных элементов.

Дополнительная информация! Сразу после пикирования растения ставятся в темное, но теплое место, излишнее солнце может навредить. Томаты хорошо относятся к пересадкам и даже их любят, но только при соблюдении всех правил.
Почему рассада помидор гибнет от корня
Есть несколько причин, почему рассада помидор вянет и падает от корня. Это может быть из-за недостаточного света. Световой день должен быть полным, не нужно убирать помидоры в тень. Недостаток солнца способствует потере цвета и почернению стебля. Корни начинают сильно вытягиваться, то же самое происходит и с растением. Без света растению сложно расти и развиваться. Оно начинает постепенно опускать листочки вниз, а в скором времени увядает. Но при этом и прямых лучей солнца томаты не выносят, особенно молодые и только пересаженные из общей емкости.
Совет! Важно контролировать попадание солнечных лучей на рассаду и контролировать. Чтобы данный фактор оставался в балансе. Правильнее всего будет выбрать южный подоконник, и там ее разместить.
Как помочь рассаде томатов, способы решения проблемы
Чтобы рассада томатов не вяла и не падала необходимо обязательно соблюдать хотя бы самые простые правила агротехники. При должном уходе проблем не возникнет. Важно следить за поливами, подкормкой, обеззараживанием и поддерживать микроклимат.
Профилактика опадания и увядания томатов
Избежать гибели растения можно при помощи профилактических мер:
- Тщательного выбора сортов, изучение всех его свойств и особенностей.
- Выбора качественной земли.
- Проведения качественной дезинфекции семян и почвы и инструментов.
- Осуществления бережной пикировки и высадки.
- Налаживания полива.
- Контролирования влажности воздуха.
- Своевременного удобрения и подкормки.
- Исключения попадания насекомых на рассаду.
- Укрытия от прямых лучей солнца.

Важно обеспечить рассаде помидор полную безопасность от внешних факторов, осуществлять качественный и своевременный уход. Томаты неприхотливы, но у них есть свои особенности в выращивании. Правильная агротехника – залог здоровых и крепких саженцев, которые в будущем станут хорошо плодоносить большими, сочными и вкусными синкарпными ягодами.











